Rutland Drive - Commercial Development - ENTITLED
Aiken, SC, 29801
$1,451,400
Sale Price
Property Details
Property Description
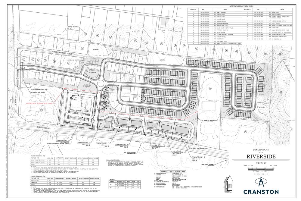
Level, cleared and ready for development, this over 7-acre parcel is ideal for many commercial uses from retail to office to flex. Zoned "Planned Commercial" (per the City of Aiken) and on a major east-west artery that feeds Hwy 19 to Interstate 20 and only 5 min from the CBD, this parcel boasts 16,500 VPD with over 1600 feet of road frontage. Tractor Supply is complete, open for business, and contiguous to the property. A site plan has been approved for over 250 units of single-family attached and /or detached residential units on the north side of the parcel, and the developer is slated to begin in early spring 2026. Rollback taxes will apply to the Buyer. Water and Sewer are both available at the site. There is an off-site detention area for this property. As an incentive to locate here, the City of Aiken is granting a 50% rebate on the cost of the business license for 5 years. The rebate will go to the end-user business owner (whether they buy or lease).
Location
Loading map...
Explore More Opportunities Nearby





